Reality Kadlicová

Pozemok 2970m2, Ulica svornosti, Bratislava-Podunajské Biskupice


Bratislava - Podunajské Biskupice
155 €

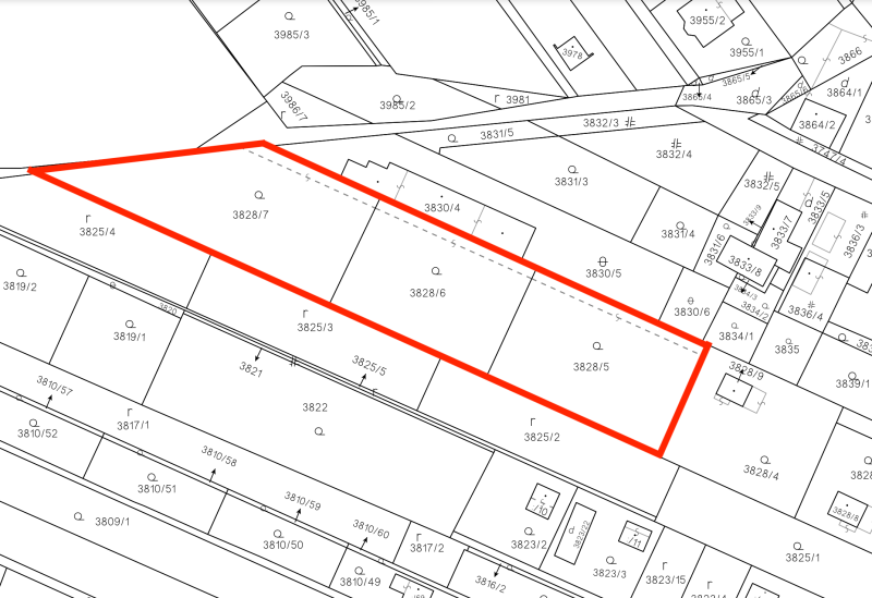
Ponúkame na predaj pozemok nachádzajúci sa medzi Pasienkovou ulicou, ČSPH ÖMV a Ulicou svornosti.

Vstup na pozemok je z Ulice svornosti.

Predmetný pozemok pozostáva z troch parciel, celková výmera je 2970m2.

Pozemky sú súčasťou územia, ktoré je definované ako rozvojové územie. 

Názov urbanistickej funkcie: Zmiešané územia obchodu, výrobných a nevýrobných služieb

FUNKCIA PREVLÁDAJÚCA: zariadenia obchodu, služieb výrobných a nevýrobných, drobné obchodné a servisné prevádzky a súvisiace administratívne objekty

FUNKCIA PRÍPUSTNÁ: nerušiaca výroba, sklady, skladovacie plochy

REGULATÍVY:

Index podlažných plôch: 0,9

Index zastavaných plôch: 0,40

Koeficient zelene: 0,15

Priemerná podlažnosť: 2-3

Cena za m2: 155 eur

Cena celkom: 460 350 eur

Pre viac informácií ma neváhajte kontaktovať na čísle 0903 303 078.



® TEXT AJ FOTOGRAFIE SÚ AUTORSKÝM DIELOM A MAJETKOM REALITNEJ KANCELÁRIE REALITY KADLICOVÁ.
REALITNÝCH MAKLÉROV ŽIADAM NEKOPÍROVAŤ TENTO OBSAH ! 

Údaje o nehnuteľnosti

Typ: Predaj

Pozemok: 2970m2

Potrebujete pomoc pri predaji nehnuteľnosti?